271 Reagan Place Nw, Chatfield, MN

$64,900

Previous Next

0.24

Acres

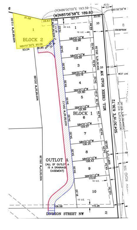
About 271 Reagan Place Nw

Bring your own builder or let us connect you with one at this new development conveniently located on the edge of Chatfield. This lot is for a single family home, suited for a slab, rambler, or split-level. Water and Sewer services from the street have been stubbed to the lot already. Mill Creek Park is just down the road which offers plenty of open space and walking trails.

Features of 271 Reagan Place Nw

MLS® # 6522517
Price $64,900
Bathrooms 0.00
Acres 0.24
Type Land
Status Active

Community Information

Address 271 Reagan Place Nw
Subdivision Gjere Addition
City Chatfield
County Olmsted
State MN
Zip Code 55923

Amenities

Is Waterfront No
Has Pool No

Interior

Fireplace No

School Information

District Chatfield

Additional Information

Days on Market 538
Zoning Residential-Single Family
Foreclosure No
Short Sale No

Listing Details

OfficeDriftless Realty LLC

Listing Map

Request a Showing

Provide a valid email address.
When would you like to view this property?